新築一戸建て 鳥取市田島【マチリブ 田島1号 】
【GX志向型住宅補助金110万円対象物件】
【田島1号】初期費用負担ゼロで太陽光発電設置!【外構込み】
■建物おすすめポイント
・タタミコーナーと合わせて19.8帖の広々LDK
・家じゅうキレイに整う♪適材適所に収納充実
・高気密・高断熱でエアコン負荷を最大50%削減!
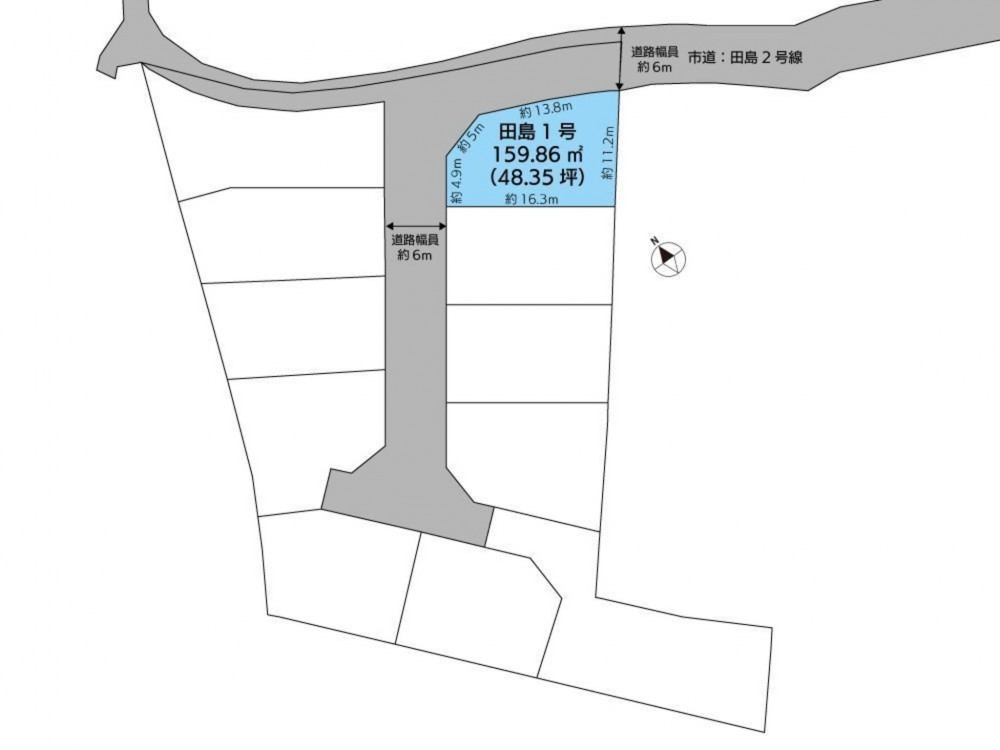
■土地おすすめポイント
・コンビニまで徒歩8分!
・市街地アクセス良好!国道9号線へ車3分!
・鳥取市立富桑小学校・鳥取市立西中学校エリア
■うれしい設備・仕様
・玄関:FreePaお出迎え省エネセンサーLEDライト
・キッチン:クリナップ製、食器洗乾燥機、人工大理石ワークトップ
・浴室:ハウステック製1坪タイプ、高断熱浴槽、換気暖房乾燥機
・トイレ:リクシル製、各階完備
支払例
※山陰合同銀行/借入金2,990万円、返済期間40年、金利0.800%変動金利)の場合
※審査により金利は変わる可能性があります。
物件概要
- 交通
-
JR山陰本線 鳥取駅 まで 徒歩33分
JR因美線 津ノ井駅 まで 徒歩90分
日交バス「新住宅入口」歩3分
- 接道状況
-
北側6m 間口約13.8m
西側6m 間口約4.9m - 土地面積
- 159.86㎡ (48.35坪)
- 建物面積
- 104.33㎡ (31.55坪)
- 築年数
- 2026年 (令和8) 6月 完成予定
- 建ぺい率
- 60%
- 容積率
- 200%
- 土地権利
- 所有権
- 構造および階数
- 木造 地上2階建
- 小学校区
- 富桑 ( 1201m )
- 中学校区
- 西 ( 1193m )
- 私道負担
- なし
- 地目
- 宅地
- 現況
- 建築中
- 引渡時期
- 予定 2026年7月
- 駐車場
- 有 3台
- 上水道
- 公共
- 下水道
- 公共
- ガス
- 都市計画
- 市街化区域
- 用途地域
- 1種中高
- 建築確認番号
- 第025A確建鳥393号
- 設備・条件
- 側溝、システムキッチン、カウンターキッチン、食器洗浄乾燥機、IHクッキングヒーター、オール電化、シャンプードレッサー、洗浄便座、浴室乾燥機、追い焚き、複層ガラス、ウォークインクローゼット、モニタ付インターホン、ペット可、1BOX駐車可、駐車場3台分、エコキュート、トイレ2箇所
- 備考
-
取引にかかる費用:上水道負担金、仲介手数料
その他制限事項:景観法による規制有、地役権設定あり - 取引態様
- 仲介






